
作为高性能海事电子设备领域的全球领军者,Raymarine 近期与日本财团、国际海洋测绘组织(GEBCO)达成战略合作,助力 “海底 2030” 项目 —— 这项宏伟的全球性计划旨在 2030 年前完成全球海底 100% 的测绘工作。
Raymarine与国际海洋测绘组织(GEBCO)在近期由 “填补测绘空白联盟”(Map the Gaps)及海岸组织(COAST)联合主办的海底探索研讨会上,正式宣布了此次合作。该研讨会汇聚了产业界、科技界与慈善界多方力量,旨在推动跨行业协作,攻克深海探索进程中的各项技术难关。
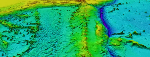
海底 2030项目于 2017 年正式启动,由国际海洋测绘组织(GEBCO)牵头推进,是联合国海洋科学促进可持续发展十年计划的官方认证项目。该项目旨在整合所有可获取的海底地形测绘数据,绘制一张免费开放的全球海底地图,为海洋保护、气候建模、海啸预警以及海洋资源可持续管理提供数据支撑。

作为此次合作的重要组成部分,Raymarine将贡献一份独特的海底地形测绘数据集。该数据集由数千艘配备雷松声呐系统的船舶采集而来,这些源于全球实际航行作业的实测数据,将有效提升现有海底地图的分辨率与覆盖范围,尤其能填补近海及外海未勘测区域的数据空白。
“能够为全球海洋测绘事业助力,我们深感荣幸。” Raymarine总经理 Grégoire Outters表示,“此次合作彰显了我们的坚定承诺 —— 为航海领域打造更安全的航行环境、推动海洋科学发展,并助力行业迈向更具可持续性的未来。”
“Raymarine贡献的海底地形测绘数据,是产业界助力人类深化海底认知的典范之作。” 海底 2030 项目总监Jamie McMichael-Phillips表示,“我们对Raymarine的支持表示欢迎,并期待这批数据能为全球海底测绘事业带来积极影响。”
总部位于东京的私人慈善机构日本财团,二十余年来一直是国际海洋测绘组织(GEBCO)能力建设与测绘项目的主要资助方。
通过为 “海底 2030” 项目,以及新罕布什尔大学 GEBCO - 日本财团培训计划提供支持,该机构已助力培养出超过 100 名海洋测绘专业人才,这些人才分别来自全球 45 个以上的国家。
迄今为止,全球仅有约25% 的海底完成了符合现代测绘标准的探测与制图。“海底 2030” 项目旨在借助国际协作、开放数据共享,以及本次合作这样的创新伙伴关系,在 2030 年前填补这一测绘空白。